
The built environment is the physical environment surrounding us that was created by human effort. It includes homes, transportation, land use patterns, and the services these systems provide to society.
Climate Change and the Coastal Population Boom
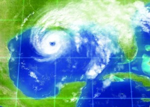
Coasts are hazardous environments, subject to fierce storms, inundation, and erosion. But there will always be extensive populations along the coasts, regardless of the threats: coastal cities are focal points for trade, fishing, and tourism, and thus are indispensable to the economy of any region with a coastline. All coastal cities are in some sense “inevitable cities on impossible sites,” even though they may not all be quite as vulnerable as New Orleans, the city that Pierce Lewis first characterized with this phrase. Large population increases are expected across the Gulf, putting many more people into harm’s way. Many of the major cities on the Gulf will nearly double in population over the next 30 or so years, with more than 50 percent of the built environment for 2030 yet to be built in these cities.
Climate change is adding a new dimension to the coastal hazard dynamic: the possibility for more frequent and more intense storms, higher sea levels, and more coastal erosion. The exact magnitude of these changes is unknown, but it is quite certain that climate change will introduce significant disturbance: rising sea levels, and perhaps more frequent and more damaging storms. While we cannot predict exactly what impacts climate change will bring to the Gulf Coast, we can already predict with great certainty that many more people will be in harm’s way on this coast in the future. However, climate change does not need to be invoked to recognize that changes in development practices are needed. Katrina-Rita has made that fact painfully obvious.
Planning for Resilience
Adapting to the potential changes wrought by climate change will require substantial modifications in development practices all along the Gulf Coast. Effective adaptation, however, will require nothing that is not already recommended for safe development in this environment. The science and technology needed to plan and build resilient coastal cities is already in place. Putting this information into practice would constitute a significant adaptation in and of itself, even if the additional hazards associated with climate change were not accounted for. Good siting, proper building codes, and a compact urban pattern – form the core elements of resilient coastal communities. Achieving these features requires the ability to plan and to regulate.
More than anything, Gulf Coast communities need to plan for change. Unfortunately, it is very difficult in our culture and our free-market society to implement plans that call for serious land use restrictions, which is exactly what would be required to keep people out of harm’s way. Nevertheless, there is much that good planning can do short of serious land use restrictions, and Gulf Coast communities should be doing these things now.
Read more: Building Resilience
A review of the existing legal and institutional frameworks for adapting to growth and climate change in the Gulf states indicates significant weaknesses in the ability of many of the states to adapt to coastal change.
Finally, recommendations on this website are gleaned from a review of the hazard planning and mitigation scientific literature.



